‘Erick’ se fortalece a huracán de categoría 2

Actualidad Nacional

Por: Redacción Criterio Diario / Foto X: @NighthawkOfficl

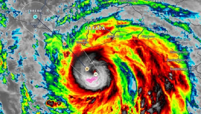
El huracán “Erick” se fortaleció a la categoría 2, informó el Centro Nacional de Huracanes (NHC) de Estados Unidos.

“Se espera que traiga vientos dañinos e inundaciones repentinas que amenacen la vida, en partes del sur de México”.

Se espera que el centro del huracán ‘Erick’ se acerque a la costa sur de México la noche de este miércoles e impacte en tierra el jueves. Un avión cazahuracanes de la Fuerza Aérea de EE.UU. indicó que los vientos máximos del ciclón aumentaron a 155 km/h, con ráfagas más fuertes.

De acuerdo con el CNH, “Erick” podría superar la categoría 2 y convertirse en un huracán mayor esta noche o durante la madrugada del jueves.

Autoridades mexicanas alertaron que el ciclón podría tocar tierra entre Oaxaca y Guerrero, por lo que el sistema de alerta se encuentra en amarillo, es decir, peligro moderado.

A diferencia de lo que ocurrió con los huracanes pasados, Otis y John, autoridades de Protección Civil de Guerrero y de los diferentes municipios comenzaron desde el pasado martes una campaña intensa de avisos.

Acapulco, con cerca de un millón de habitantes y uno de los principales destinos turísticos del Pacífico mexicano, ha declarado la suspensión de clases ante la llegada del huracán.

Los funcionarios están alertando a toda la ciudadanía a que si hubiera algún peligro o la necesidad de evacuar sus viviendas lo hicieran voluntariamente, ya fuera hacía casa de familiares o algún refugio temporal.

También han llegado personal de la Comisión Federal de Electricidad (CFE) al puerto, así como a la Costa Chica de Guerrero, quienes estarán listos ante cualquier emergencia que se llegara a suscitar o posibles daños en la zona.

En el caso de autoridades federales, la Secretaría de Marina ha activado el Plan Marina con 9 mil agentes para Oaxaca y Guerrero mientras que la Secretaría de la Defensa y la Guardia Nacional ha activado el Plan DNIII-E, con el cual se desplegarán por lo menos a 850 efectivos a la Costa Chica.

Por su parte, el prestador de servicios náuticos en Acapulco, Arturo Pantoja Guatemala, aseguró que el retiro de las embarcaciones menores y lanchas se debió para salvaguardarlas y que no pierdan su equipo y herramienta de trabajos.

También, autoridades de seguridad federal y estatal han garantizado patrullajes y el resguardo de los establecimientos para así evitar algún posible saqueo.